兰新能科小横路加油站(20#站)工规证报规图公示
来源: 兰州新区自然资源和规划局
时间: 2026/04/03/ 16:13
字号:[大][中][小]
建设单位名称:兰州新区兰新能科物资贸易有限公司
审批事项名称:建筑工程设计方案总平面图
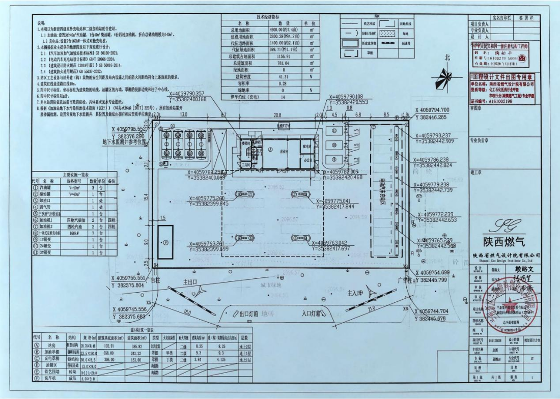
项目名称:兰新能科小横路加油站(20#站)
建设用地面积:约4.2亩
建筑面积:总建筑面积781.04㎡,均为地上。
项目地址:兰州新区纬六十路以北、经四十四路以西区域。
公示日期:2026年04月01日—2026年04月07日
为保障利害关系人的合法权益,现将项目建筑工程设计方案总平面图予以公示,并征求利害关系人意见。凡与本地块具有重大利害关系的,可在公示期内向我局提出书面异议。利害关系人要求听证的,应当在公告发布之日起5个工作日内以书面形式提出听证申请,并提供身份证明、房产证明等证明规划内容直接涉及其重大利害关系的材料。规定期限内未提交前述材料的,视为放弃。公示期满无异议,异议不成立或未要求听证的,视为无意见。
兰州新区自然资源和规划局联系电话:0931—6502207



个人中心
退出登录




